- 索 引 号:QZ07115-0101-2025-00540
- 发布机构:南安市自然资源局
- 公文生成日期:2025-10-20
各有关利害关系人:
广兴创展(南安)石业有限公司于2025年10月20日向我局申请广兴创展(南安)石业有限公司厂区扩建项目建设工程规划许可证,现将规划拟许可内容公示如下:
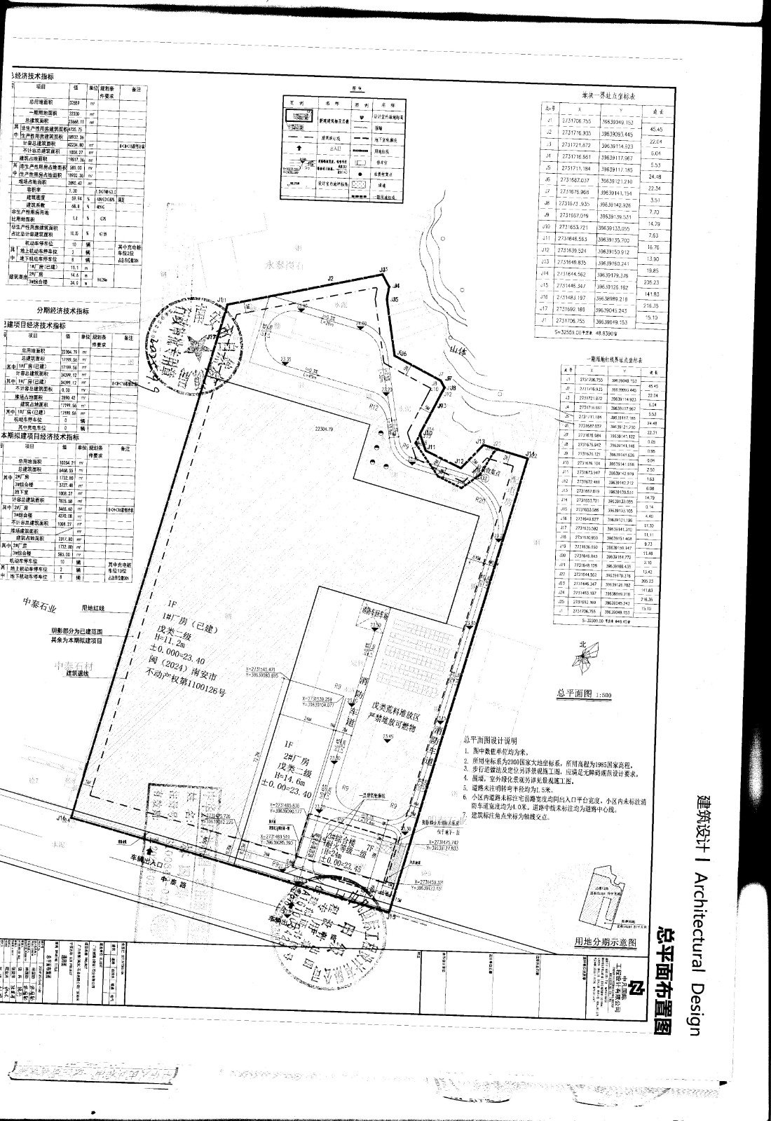
一、本期项目总建筑面积6468.55平方米,其中:计容建筑面积7835.68平方米,地上建筑面积5460.28平方米,地下建筑面积1008.27平方米。
二、总平面图。
本公示期限从2025年10月20日至10月30日。根据《中华人民共和国行政许可法》第三十六条和第四十七条的规定,行政许可申请人、利害关系人有权进行陈述、申辩和要求听证的权利。如有意见与建议,请以署名书面形式告知我局。申请听证的,应于公示期间及公示期满后五日内以书面形式向我局提出听证申请,逾期未提出的,视为放弃听证权利,我局将依法作出相关行政许可。如在公示期内对我局审批事项有异议,向我局提交书面申请的,我局将依法向申请人提供异议人的姓名、申请事项等信息。
联系电话:0595-36288931
电子邮箱:stghfj2016@163.com
南安市自然资源局
2025年10月20日
扫一扫在手机上查看当前页面


闽公网安备:35058302350001号


